Lauchlauchmotteadult1-800x600

Lauchmotte

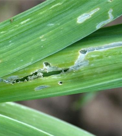
Schadbild

An den Spitzen der Lauchblätter zeigen sich Fraßstellen, die als Fraßgang (Blattmine) bis zum Herzen der Lauchpflanze vordringen können. Als Folge der Verletzung kommt es häufig zu Fäulnis im Inneren der Porreestange. Außer Gemüselauch wird auch Schnittlauch befallen.

Schädling

Die Lauchmotte (Acrolepiopsis assectella) ist ein Kleinschmetterling, der in zwei Generationen pro Jahr auftritt. Ab Juni ist mit dem Flug der Falter zu rechnen. Die Eier werden an die Blätter gelegt. Aus ihnen schlüpfen die kleinen Räupchen, die durch ihren Fraß die beschriebenen Symptome verursachen.
Die Überwinterung erfolgt als Puppe am Laub oder auch als erwachsener Falter.

Bekämpfung

Allgemeine Bekämpfungshinweise

Die beste Methode Lauch vor Befall mit der Lauchmotte zu schützen, ist das Auflegen von Kulturschutznetzen unmittelbar nach der Pflanzung.

Alles ablehnen
Alles akzeptieren