Kartoffel_knollenfaeul1-800x600

Kraut- und Knollenfäule an Kartoffeln

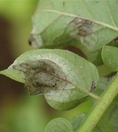
Schadbild

Ab Mitte Juni zeigen die Kartoffelblätter bei feuchter Witterung anfangs braune oder graue Flecken. Auf der Blattunterseite bildet sich ein weißgrauer Schimmelrasen.
Innerhalb weniger Tage kann das ganze Kraut absterben, so dass der Eindruck entsteht, die Pflanzen wären über Nacht eingegangen.
Knollenfäulen treten nicht so häufig auf und entstehen meist erst während der Lagerung.

Erreger

Die Kraut und Knollenfäule wird durch einen feuchtigkeitsliebenden Pilz (Phytophthora infestans) verursacht, der an Tomaten als Erreger der Kraut und Braunfäule bekannt ist.
Bei trockenem Wetter besteht keine Infektionsgefahr.

Bekämpfung

Allgemeine Bekämpfungshinweise

Dichte Kartoffelbestände trocknen schlecht ab und sind entsprechend stärker gefährdet. Es sollte daher schon bei der Pflanzung auf ausreichende Abstände geachtet werden. Ab Ende Juni sind die Kartoffelpflanzen vor allem während und nach regenreichen Tagen auf beginnenden Befall zu kontrollieren.
Leider gibt es bisher keine Sorten, die eine hohe Widerstandsfähigkeit gegenüber der Kraut und Braunfäule aufweisen. Auch Pflanzenstärkungsmittel sind nach bisherigem Kenntnisstand nicht ausreichend wirksam.
Aus diesem Grund werden auch im Bio Anbau die Kartoffelbestände mit kupferhaltigen Fungiziden behandelt.
Wer Spritzungen gegen diese Krankheit durchführen will, sollte bedenken, dass für eine gute Wirkung mehrere vorbeugende Behandlungen im Abstand von sieben bis vierzehn Tagen erforderlich sind.
Frühkartoffeln werden auf Grund der frühen Abreife des Laubes meist nicht so stark geschädigt.