Ligustrumwanzeschadbild1

Blattdeformationen an Gehölzen durch Wanzenbefall

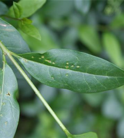
Schadbild

Jüngere Blätter verschiedener Gehölze sind deformiert. Sie erscheinen zerstochen oder löchrig. Besonders großlaubige und immergrüne Arten zeigen auffällige Schäden, die mit einem Raupenfraß verwechselt werden können.
Bei starkem Befall werden auch junge, noch weiche Triebspitzen von den Wanzen angestochen.

Schädling

Die beschriebenen Schäden werden durch Wanzen hervorgerufen, die bevorzugt junge noch nicht entfaltete Blätter anstechen und den Pflanzensaft saugen.
An den Anstichstellen stirbt das Blattgewebe ab. Beim späteren Streckungswachstum des Blattes wachsen diese abgestorbenen Blattpartien nicht mit. Es bilden sich die auffälligen Löcher.
Die Wanzen selbst findet man kaum an den Pflanzen, da sie sich bei Gefahr sofort fallen lassen. Wanzen schädigen an vielen verschiedenen Pflanzenarten.

Bekämpfung

Allgemeine Bekämpfungshinweise

Es gibt derzeit keine geeignete Methode, mit der sich Wanzenbefall verhindern lässt.